WMO Hurricane Committee retires name of Melissa, replaces it with Molly

In a significant move reflecting the catastrophic impact of recent extreme weather, the World Meteorological Organization’s (WMO) Hurricane Committee has officially retired the name ‘Melissa’ from its cyclical list of Atlantic tropical cyclone names. This decisive action, taken during the committee’s annual meeting, comes in direct response to the immense devastation and tragic loss of life caused by the hurricane during its October 2025 rampage across the Caribbean basin.

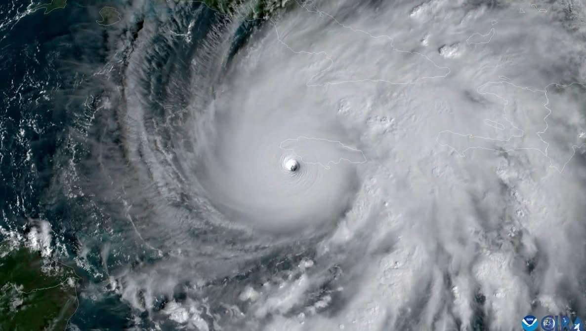
The meteorological phenomenon, designated Hurricane Melissa at its peak intensity, achieved the most severe classification on the Saffir-Simpson Hurricane Wind Scale as a Category 5 storm. It generated sustained wind velocities approaching an astonishing 300 kilometers per hour, constituting a direct threat to human life. The hurricane’s fury manifested through multiple destructive mechanisms, including a catastrophic storm surge and profoundly damaging winds that ravaged the coastlines and interiors of Jamaica and Cuba. Furthermore, the system unleashed torrential rainfall, triggering severe and widespread flooding across the Dominican Republic, Haiti, Jamaica, and Cuba.

The human toll was profound, with preliminary reports attributing over 90 fatalities to the storm across several island nations. The event etched its name in the historical records as the most potent hurricane ever documented to make landfall on Jamaica. In terms of sheer wind force, Hurricane Melissa achieved a fearsome meteorological distinction, tying the record sustained wind speeds of two other legendary storms: Hurricane Dorian, which struck the Bahamas in 2019, and the historic 1935 Labor Day Hurricane that impacted the United States.

Following established protocol for names associated with particularly deadly or costly storms, the committee has selected ‘Molly’ as the permanent replacement name. This ensures the name ‘Melissa’ will never be used again for a future Atlantic hurricane, serving as a permanent marker of the event’s severity and a tool for historical and scientific reference.